HOME-Au
HOME-Au
24h
24h
USA
USA
GOP
GOP
Phim Bộ
Phim Bộ
Videoauto
VIDEO-Au
Home Classic
Home Classic
Donation
Donation
News Book
News Book
News 50
News 50
worldautoscroll
WORLD-Au
Breaking
Breaking
 

Go Back   VietBF > World Box| Thế Giới > World News|Tin Thế Giới > World News |Tin Thế Giới 2006-2019


 
 
Thread Tools
  #1  
Old  Default Siêu bão Dorian lớn nhất trong 30 năm qua đổ bộ Florida
Trong quá khứ, Florida đã từng hứng chịu siêu bão cấp 5 - bão Andrew gây ra 1 hậu quả nặng nề về người và của. Sắp tới Florida (Mỹ) sẽ đón nhận 1 cơn bão với sức mạnh tương tự mang tên Dorian. NGười dân nơi đây đã bắt đầu tích trữ lương thực để đối phó với thảm họa này

Tin tức mới nhất trên TTXVN cho hay ngày 30/8, Nhà Trắng phát đi thông cáo báo chí cho biết Tổng thống Mỹ Donald Trump đã ban bố tình trạng khẩn cấp ở bang Florida vì bão Dorian.

Trước đó, trong đoạn video phát đi vào tối thứ Ba ngày 27/8, ông Trump cảnh báo rằng, bão Dorian "có thể là một cơn bão quái vật thực sự", thông tin từ The Guardian (Anh).

Thống đốc bang Florida, ông Ron DeSantis, cũng ban bố tình trạng khẩn cấp trên toàn bang. Hiện tại, hàng triệu người dân Florida đang tích trữ lương thực, nhiên liệu, nhu yếu phẩm và sẵn sàng di tản đến nơi an toàn nếu bão tăng cấp và đổ bộ đất liền.

Dự báo, bão Dorian dự báo có thể mạnh tới cấp 4 (trên thang Saffir-Simpson, tương đương sức gió từ 210–249km/h) khi đổ bộ vào bang Florida trong kỳ nghỉ lễ Lao động Mỹ (vào thứ Hai đầu tiên của tháng 9 hàng năm).

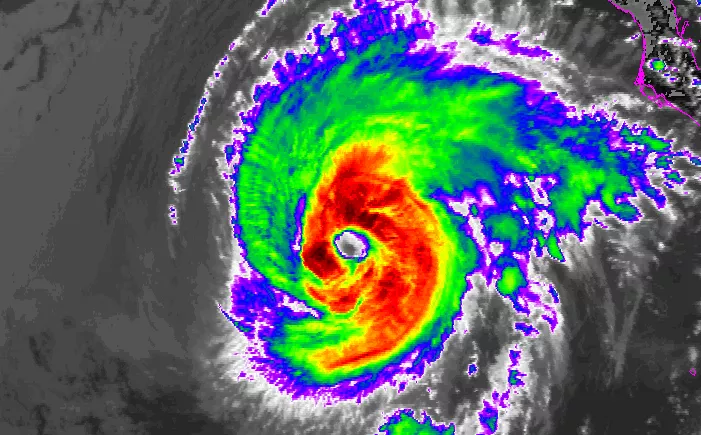
Trung tâm Dự báo bão Quốc gia Mỹ (NHC) cảnh báo, Dorian có thể là một trong những trận bão mạnh nhất và cực kỳ nguy hiểm trong lịch sử bang Florida (miền nam nước Mỹ) tính trong vòng gần 3 thập kỷ trở lại đây.

Hình ảnh dự báo đường đi và cấp độ của bão Dorian. Nguồn: ABC News

Cơ quan Quản lý Khí quyển và Đại dương Quốc gia Mỹ (NOAA) cũng tập trung phân tích cường độ và dự báo: Bão Dorian dự báo sẽ tấn công bờ biển phía Đông trung tâm bang Florida với sức gió rất mạnh 210km/h. Không những thế, cơn bão này còn làm khó các chuyên gia khí tượng vì sự khó đoán, khôn lường của nó.

NOAA cho biết, với kích thước và vị trí của bão Dorian tính cho đến nay mang đến 2 luồng dự báo: Một là bão có thể nhanh chóng suy yếu hoặc tăng cấp mạnh mẽ; Hai là nó có thể thay đổi hoàn toàn đường đi đã được dự báo trước đó.

Tại sao bão Dorian lại khó lường? National Geographic đưa ra các yếu tố phân tích trong bài viết tựa đề "Hurricane Dorian—the science behind the dangerous storm" (tạm dịch: Bão Dorian - Những phân tích khoa học đằng sau một cơn bão nguy hiểm), mời độc giả theo dõi.

Bão Dorian có tăng cấp thảm họa và lặp lại đường đi của siêu bão cấp 5 Andrew?

Nếu bão Dorian di chuyển từ Đại Tây Dương rồi sau đó đổ bộ Florida với sức gió dự báo lên đến 210km/giờ (thuộc bão mạnh cấp 4) thì Dorian sẽ trở thành cơn bão thứ 9 liệt vào hàng những cơn bão mạnh nhất, nguy hiểm nhất trong lịch sử hơn 200 năm của bang.

Tính đến cuối những năm 1800, trong lịch sử bang Florida xuất hiện 8 cơn bão cấp 4 và cấp 5 đổ bộ vào bờ biển phía đông của Florida.

Riêng năm 1992, bang Florida đã phải hứng chịu siêu bão cấp 5 - bão Andrew (với sức gió trên 250km/h). Vào thời điểm đó, Andrew là cơn bão gây thiệt hại về của nặng nề nhất trong lịch sử bang Florida. Không chỉ khiến 65 người thiệt mạng, bão Andrew còn gây thiệt hại khoảng 26,5 tỷ USD (tương đương 48 tỷ USD tính đến năm 2019).

Điều đáng nói là, bão Dorian được dự báo là có đường đi giống bão Andrew. Tồi tệ hơn nữa, bão Andrew từng tăng cấp đột ngột từ cấp 4 lên cấp 5 (cấp thảm họa, cao nhất trong thang bão Saffir-Simpson) chỉ trong vòng 36 giờ, NOAA cho hay.

Điều này tạo ra 2 bài toán dự báo cho các nhà khí tượng Mỹ:

1 là: Bão Dorian có lặp lại đường đi của bão Andrew năm 1992?

2 là: Bão Dorian có tăng cấp để trở thành siêu bão cấp 5 rồi đổ bộ đất liền Mỹ?

Về bài toán số 1, ông Dan Kottlowski - chuyên gia về bão thuộc Dịch vụ Thời tiết quốc gia AccuWeather (Mỹ) - nhận định: Bão Dorian dự báo sẽ tăng cấp 4 khi tiến sát bờ biển phía đông Florida. Theo dõi đường đi dự báo của Dorian, chúng tôi thấy có phần giống với siêu bão cấp 5 Andrew xảy ra năm 1992.

Nhưng hãy nhớ rằng, không có hai cơn bão nào giống nhau hoàn toàn trong lịch sử. Mỗi cơn bão đều có cách thức di chuyển, tác động khác nhau.

Đường đi của siêu bão cấp 5 Andrew (năm 1992). Nguồn: AccuWeather

Trên National Geographic, chuyên gia khí tượng học Philip Klotzbach thuộc ĐH Colorado (Mỹ) cho biết: Rất có thể, đường đi của bão Dorian sẽ bị ảnh hưởng bởi một hệ thống thời tiết có tên là Bermuda High, một hệ thống áp suất cao nằm trên Đại Tây Dương suốt mùa hè và đầu mùa thu hàng năm.

Theo đó, Bermuda High được dự báo sẽ mở rộng về phía nam và phía tây, và có thể hoạt động như một bức tường đẩy cơn bão Dorian đi vào Bờ Đông nước Mỹ.

Về bài toán số 2, liệu rằng Dorian có tiếp tục tăng cấp trước khi đổ bộ đất liền?

Ông Philip Klotzbach phân tích: Khi hệ thống bão di chuyển qua vùng biển Caribe, nó đã tránh được một số khu vực miền núi làm gián đoạn đà bão. Khi đến biển Caribe, cơn bão tiếp tục có khả năng mạnh lên nhờ vào khối không khí khô, nóng ẩm (theo mùa) từ Đại Tây Dương thổi vào.

Do đó, việc bão Dorian mạnh lên vẫn là đang là điều khiến các nhà khí tượng lo lắng. Hiện NASA, NHC, NOAA và nhiều cơ quan khí tượng Mỹ tiếp tục theo dõi để đưa ra các bản tin dự báo thời tiết mới nhất về bão Dorian.

Nếu đổ bộ, bão Dorian có thể gây ảnh hưởng lớn như thế nào?

Trung tâm Dự báo bão quốc gia Mỹ (NHC) nhận định, Dorian là cơn bão di chuyển chậm, có thể đổ bộ Florida trong vòng 24 giờ tiếp theo.

"Một khi đã đổ bộ đất liền, việc bão di chuyển chậm sẽ càng khiến mọi chuyện thêm tồi tệ." - Jayantha Obeysekera, Giám đốc Trung tâm Giải pháp nước biển dâng thuộc ĐH Quốc tế Florida lo lắng.

Biển Đông liên tiếp xuất hiện bão mạnh, dự báo sẽ có bão số 5 đổ bộ, khu vực nào ảnh hưởng nặng nhất?
"Bão sẽ gây mưa lớn. Trong khi đó, những trận mưa gần đây tại Florida đã làm bão hòa lượng nước ngầm có thể được hấp thụ ở nhiều vùng của Florida. Nước dâng do bão có thể gây lụt lội, đẩy nhanh quá trình làm xói mòn bờ biển."

Người dân Florida tích trữ nhu yếu phẩm để đối phó với bão Dorian. Ảnh: Brynn Anderson/AP

Các chuyên gia khí hậu rất thận trọng trong việc nhận định bão lớn có một phần nguyên nhân từ biến đổi khí hậu, tuy nhiên, các nghiên cứu gần đây cho thấy nước biển ấm lên có thể khiến các cơn bão trở nên dữ dội hơn, chậm hơn và có khả năng gây ra lũ lụt lớn hơn.

VietBF © Sưu Tầm
VIETBF Diễn Đàn Hay Nhất Của Người Việt Nam

HOT NEWS 24h

HOT 3 Days

NEWS 3 Days

HOT 7 Days

NEWS 7 Days

HOME

Breaking News

VietOversea

World News

Business News

Car News

Computer News

Game News

USA News

Mobile News

Music News

Movies News

History

Thơ Ca

Sport News

Stranger Stories

Comedy Stories

Cooking Chat

Nice Pictures

Fashion

School

Travelling

Funny Videos

Canada Tin Hay

USA Tin Hay

VietBF Homepage Autoscroll

VietBF Video Autoscroll Portal

Home Classic

Home Classic Master Page



miro1510
R9 Tuyệt Đỉnh Tôn Sư
Release: 09-04-2019
Reputation: 13829


Profile:
Join Date: Oct 2014
Posts: 46,986
Last Update: None Rating: None
Attached Thumbnails
Click image for larger version

Name:	5.1.png
Views:	0
Size:	557.7 KB
ID:	1446827   Click image for larger version

Name:	5.2.jpg
Views:	0
Size:	117.8 KB
ID:	1446828   Click image for larger version

Name:	5.3.png
Views:	0
Size:	202.1 KB
ID:	1446829  

Click image for larger version

Name:	5.4.jpg
Views:	0
Size:	209.0 KB
ID:	1446830  
miro1510_is_offline
Thanks: 9
Thanked 2,092 Times in 1,931 Posts
Mentioned: 3 Post(s)
Tagged: 0 Thread(s)
Quoted: 8 Post(s)
Rep Power: 58
miro1510 Reputation Uy Tín Level 6
miro1510 Reputation Uy Tín Level 6miro1510 Reputation Uy Tín Level 6miro1510 Reputation Uy Tín Level 6miro1510 Reputation Uy Tín Level 6miro1510 Reputation Uy Tín Level 6miro1510 Reputation Uy Tín Level 6miro1510 Reputation Uy Tín Level 6miro1510 Reputation Uy Tín Level 6miro1510 Reputation Uy Tín Level 6miro1510 Reputation Uy Tín Level 6miro1510 Reputation Uy Tín Level 6miro1510 Reputation Uy Tín Level 6miro1510 Reputation Uy Tín Level 6miro1510 Reputation Uy Tín Level 6miro1510 Reputation Uy Tín Level 6miro1510 Reputation Uy Tín Level 6
 
User Tag List


Lá Cờ Vàng – Giấc Mơ Nhỏ Và Vận Mệnh Lớn Của Dân Tộc Những trùng hợp rợn người trong lịch sử nhân loại Những bí mật bên trong xác ướp Ba Đình
Dân kinh doanh trả giá đắt vì chính sách thuế của Cộng Sản Trăm năm bia đá cũng mòn, bia hám danh thì còn mãi Sài Gòn ‘bỏ phố’: Mặt bằng trăm triệu, đèn tắt và kỷ nguyên thu mình của người kinh doanh
Costco kiện thuế quan: Cú tát 2.000 USD vào lời hứa ‘năm sau’ của ông Trump 401k – IRA – IUL: Ba cái ‘hũ để dành’ ở Mỹ, xài trật là mất toi tuổi già Chi bộn tiền làm đẹp, giờ ôm rổ mỹ phẩm mà run: Nỗi hoang mang của khách Mailisa sau ngày thẩm mỹ viện tắt đèn
Cột điện gỗ Mỹ để: Nửa thế kỷ vẫn đứng vững ở miền Nam Việt Nam Việt Nam sau 50 năm: Quyền được tự hào và nghĩa vụ… tự chịu đựng Thất thủ trước mưa lũ: Khi bộ máy cứu nạn chỉ còn là những công điện trên giấy
Từ quán phở tị nạn đến tiệm ăn làn sóng mới Hai cái bắt tay lịch sử Nixon – Thiệu và bi kịch một đồng minh bị bỏ rơi Lũ đã dâng tới nóc nhà rồi, lệnh cứu hộ mới ký: 24 giờ vàng bị đánh cắp bởi hai chữ “chờ lệnh”
Việt Nam dưới chế độ cộng sản: Có thật đáng để tự hào? Từ thuyền nhân Việt Nam đến công tố viên hạ gục “Kẻ sát nhân Golden State” Mỹ chính thức “khai tử” đồng penny: Chia tay 1 cent sau 232 năm lặng lẽ trong túi áo người dân
Địa đạo Củ Chi: Huyền thoại tuyên truyền và sự thật bị chôn trong đất đỏ Saudi bắt tay đại gia AI Mỹ: canh bạc nghìn tỷ USD của Thái tử Mohammed bin Salman Walmart – “liều thuốc giải” cho cơn khủng hoảng chi phí sinh hoạt ở nước Mỹ
Trump khoe “thời hoàng kim” dưới mái vòm McDonald’s, trong khi người Mỹ vẫn ngộp vì tiền chợ tiền nhà Doanh nghiệp nhỏ nước Mỹ oằn mình dưới thuế quan Trump và cơn bão chi phí sinh hoạt Trump xoay sang “Plan B”: Giấc mơ làm nước Mỹ rẻ hơn và thực tế hóa đơn ngày một dày
Trump “ảo thuật” giá cả: nói lạm phát giảm, nhưng hóa đơn người Mỹ vẫn tăng Trump trong lâu đài mạ vàng: hứa cứu tầng lớp lao động, rồi lạc khỏi nỗi lo tiền chợ “No Kings” rầm rộ khắp nước Mỹ: Gần 7 triệu người xuống đường, khẳng định “Không có vua trong nền dân chủ”

 
Lên đầu Xuống dưới Lên 3000px Xuống 3000px

iPad Videos Portal Autoscroll

VietBF Music Portal Autoscroll

iPad News Portal Autoscroll

VietBF Homepage Autoscroll

VietBF Video Autoscroll Portal

USA News Autoscroll Portall

VietBF WORLD Autoscroll Portal

Home Classic

Super Widescreen

iPad World Portal Autoscroll

iPad USA Portal Autoscroll

Phim Bộ Online

Tin nóng nhất 24h qua

Tin nóng nhất 3 ngày qua

Tin nóng nhất 7 ngày qua

Tin nóng nhất 30 ngày qua

Albums

Total Videos Online
Lên đầu Xuống dưới Lên 3000px Xuống 3000px

Tranh luận sôi nổi nhất 7 ngày qua

Tranh luận sôi nổi nhất 14 ngày qua

Tranh luận sôi nổi nhất 30 ngày qua

10.000 Tin mới nhất

Tin tức Hoa Kỳ

Tin tức Công nghệ
Lên đầu Xuống dưới Lên 3000px Xuống 3000px

Super News

School Cooking Traveling Portal

Enter Portal

Series Shows and Movies Online

Home Classic Master Page

Donation Ủng hộ $3 cho VietBF
Lên đầu Xuống dưới Lên 3000px Xuống 3000px
Diễn Đàn Người Việt Hải Ngoại. Tự do ngôn luận, an toàn và uy tín. Vì một tương lai tươi đẹp cho các thế hệ Việt Nam hãy ghé thăm chúng tôi, hãy tâm sự với chúng tôi mỗi ngày, mỗi giờ và mỗi giây phút có thể. VietBF.Com Xin cám ơn các bạn, chúc tất cả các bạn vui vẻ và gặp nhiều may mắn.
Welcome to Vietnamese American Community, Vietnamese European, Canadian, Australian Forum, Vietnamese Overseas Forum. Freedom of speech, safety and prestige. For a beautiful future for Vietnamese generations, please visit us, talk to us every day, every hour and every moment possible. VietBF.Com Thank you all and good luck.

Lên đầu Xuống dưới Lên 3000px Xuống 3000px

All times are GMT. The time now is 14:28.
VietBF - Vietnamese Best Forum Copyright ©2005 - 2025
User Alert System provided by Advanced User Tagging (Pro) - vBulletin Mods & Addons Copyright © 2025 DragonByte Technologies Ltd.
Log Out Unregistered

Page generated in 0.11343 seconds with 13 queries