HOME-Au
HOME-Au
24h
24h
USA
USA
GOP
GOP
Phim Bộ
Phim Bộ
Videoauto
VIDEO-Au
Home Classic
Home Classic
Donation
Donation
News Book
News Book
News 50
News 50
worldautoscroll
WORLD-Au
Breaking
Breaking
 

Go Back   VietBF > World Box| Thế Giới > World News|Tin Thế Giới


Reply
 
Thread Tools
  #1  
Old  Default Siêu bão Ragasa mạnh bậc nhất Biển Đông: "Quái vật" khiến con người phải câm lặng - đặc điểm kinh hoàng
Theo thông tin dự báo thời tiết mới nhất từ Trung tâm Dự báo KTTV quốc gia, trong 3 ngày tới (23 đến 25/9), siêu bão Ragasa duy trì cường độ cực mạnh. Riêng 2 ngày 22 và 23/9, Ragasa có sức gió mạnh nhất gần tâm cấp 17 (202–221 km/giờ), giật trên cấp 17 - tương đương siêu bão Cấp 4 trên thang đo bão phương Tây Saffir–Simpson.

Vào thời điểm nó đạt sức mạnh cực đại vào ngày 21/9 (270 km/giờ), Ragasa (Thần Tốc) là cơn bão mạnh nhất Trái Đất năm 2025 tính đến nay.

Ông Mai Văn Khiêm, Giám đốc Trung tâm DB KTTV quốc gia cho biết: "Dự báo vào tối 22/9, siêu bão Ragasa sẽ đi vào Biển Đông, trở thành cơn bão số 9 trong năm 2025. Bão di chuyển với tốc độ khoảng 20 km/giờ, duy trì cường độ cực đại ở cấp 16-17 (tương đương 220-260 km/giờ). Với sức mạnh này, siêu bão Ragasa thuộc nhóm các siêu bão mạnh nhất từng ghi nhận trên Biển Đông".

Ragasa không chỉ là một cơn bão – nó là biểu tượng của sức mạnh thiên nhiên nguyên thủy, khiến ngay cả các nhà khoa học và cộng đồng quốc tế phải "câm lặng" trước quy mô hủy diệt tiềm năng.

Severe Weather Europe (EU) đánh giá, một trong những điều kiện thuận lợi tăng tốc và duy trì sức mạnh của siêu bão Ragasa chính là nhiệt độ nước biển cao hơn bình thường trên khắp vùng nhiệt đới phía tây Thái Bình Dương - với mức nhiệt từ 30 đến 32°C.

Nhiệt độ nước cao này dẫn đến điểm sương cao hơn và năng lượng cao gần bề mặt biển, do đó các cơn bão đối lưu sẽ hấp thụ khối khí dễ bay hơi này và hỗ trợ hoạt động giông bão bùng nổ.

Bất kỳ hệ thống nhiệt đới nào nổi lên giữa vùng nước nóng này đều trở nên mạnh mẽ và dữ dội hơn. Đây chính xác là những gì đã xảy ra với siêu bão Ragasa. Sức mạnh này nhắc nhở sự mong manh của con người trước biến đổi khí hậu: Nước biển ấm hơn nuôi dưỡng những "quái vật" như Ragasa nhiều hơn, dữ dội hơn.
Sức mạnh của siêu bão Ragasa khiến con người phải câm lặng thế nào?

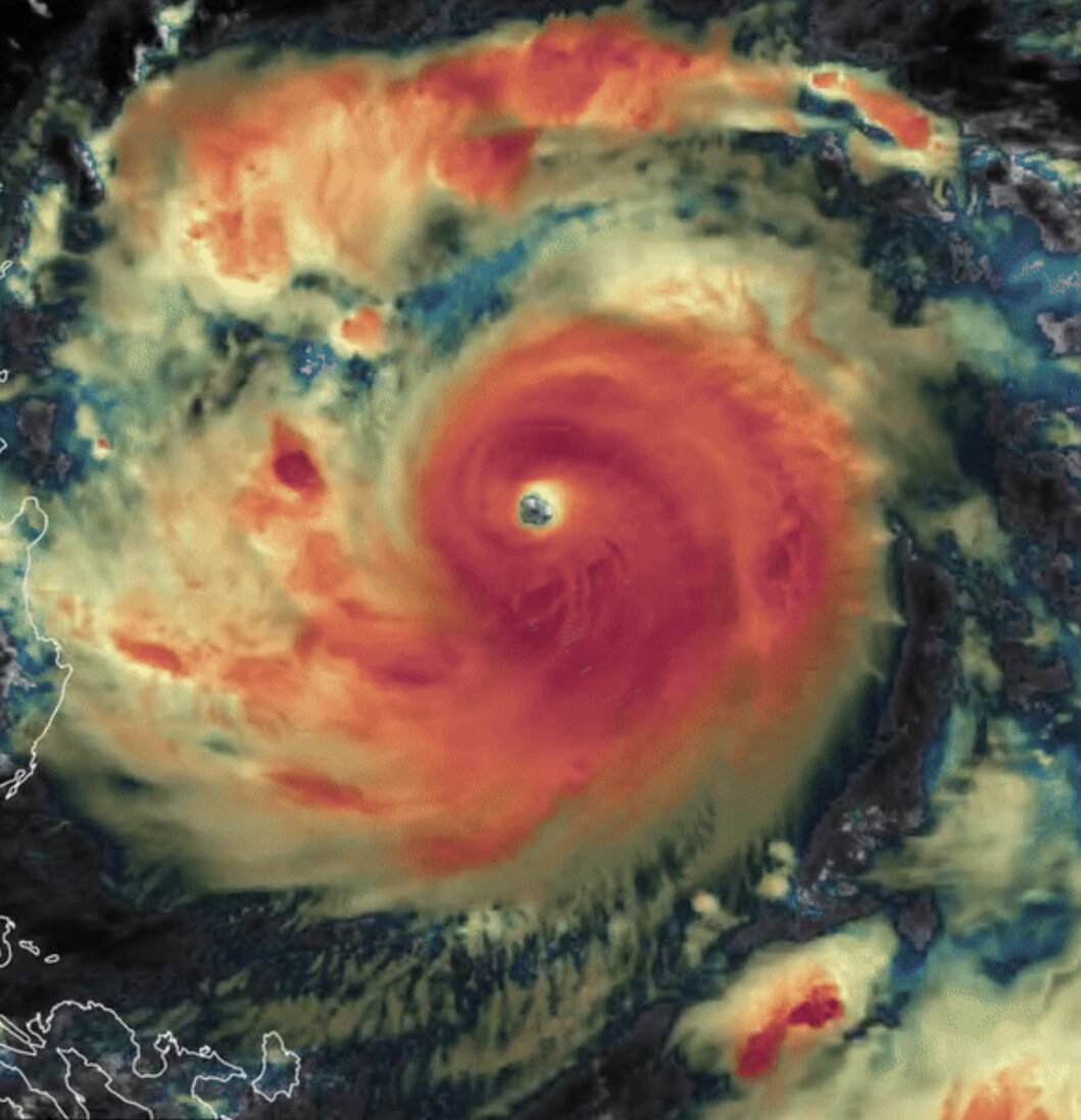
Đây là hình ảnh của mắt bão Ragasa - khi nó đang ở trạng thái cực đại rộng 70km! Tường mắt bão cực kỳ vững chắc cùng bán kính bão hơn 300km.

Ngày 21/9/2025 là thời điểm siêu bão Ragasa nâng cấp sức mạnh lên siêu bão Cấp 5 (cấp cao nhất) với sức gió 270 km/giờ và áp suất trung tâm 922 hPa. Đây là cơn bão Cấp 5 đầu tiên trong lưu vực Tây Thái Bình Dương của năm 2025, Trung tâm Cảnh báo Bão Liên hợp (JTWC) của Hải quân và Không quân Mỹ thông tin.

Westernpacificweathe r gọi siêu bão Ragasa Cấp 5 là Siêu bão quái vật.

Với tốc độ gió 270 km/giờ, cơn bão quái vật này NẾU đổ bộ đất liền với sức mạnh Cấp 5 này, nó có thể:

Phá hủy cấu trúc: Xé toạc nhà bê-tông kiên cố, lật tung xe hơi, và san phẳng rừng cây như lốc xoáy.

Gây lũ lụt diện rộng: Ragasa mang theo lượng mưa cực lớn, ước tính 200-500 mm trong 24 giờ (theo JMA/PAGASA), có thể gây lũ quét và lũ lụt ở các vùng trũng thấp. Lũ lụt sẽ phá hủy mùa màng, nhấn chìm nhà cửa, và làm tê liệt giao thông.

Hủy hoại hệ sinh thái: Gió mạnh và lũ lụt sẽ phá hủy rừng, làm bật gốc cây lớn, và gây xói mòn đất nghiêm trọng.

Gây thiệt hại hàng tỷ USD: Một siêu bão Cấp 5 như Ragasa có thể gây thiệt hại hàng tỷ USD (ước tính dựa trên các bão tương tự như Haiyan ~14 tỷ USD, Michael ~25 tỷ USD). Các lĩnh vực chịu ảnh hưởng lớn gồm: Nông nghiệp (mất mùa lúa, cây trồng), thủy sản (tàu thuyền, cảng), và cơ sở hạ tầng (đường, cầu, nhà máy điện).


VietBF@ Sưu tập
VIETBF Diễn Đàn Hay Nhất Của Người Việt Nam

HOT NEWS 24h

HOT 3 Days

NEWS 3 Days

HOT 7 Days

NEWS 7 Days

HOME

Breaking News

VietOversea

World News

Business News

Car News

Computer News

Game News

USA News

Mobile News

Music News

Movies News

History

Thơ Ca

Sport News

Stranger Stories

Comedy Stories

Cooking Chat

Nice Pictures

Fashion

School

Travelling

Funny Videos

Canada Tin Hay

USA Tin Hay

VietBF Homepage Autoscroll

VietBF Video Autoscroll Portal

Home Classic

Home Classic Master Page



therealrtz
R10 Vô Địch Thiên Hạ
Release: 09-22-2025
Reputation: 234480


Profile:
Join Date: Nov 2014
Posts: 91,368
Last Update: None Rating: None
Attached Thumbnails
Click image for larger version

Name:	Screenshot 2025-09-22 at 14.51.01.jpg
Views:	0
Size:	158.3 KB
ID:	2574365  
therealrtz_is_offline
Thanks: 28
Thanked 6,720 Times in 5,989 Posts
Mentioned: 4 Post(s)
Tagged: 0 Thread(s)
Quoted: 34 Post(s)
Rep Power: 114
therealrtz Reputation Uy Tín Level 10therealrtz Reputation Uy Tín Level 10therealrtz Reputation Uy Tín Level 10therealrtz Reputation Uy Tín Level 10therealrtz Reputation Uy Tín Level 10therealrtz Reputation Uy Tín Level 10therealrtz Reputation Uy Tín Level 10
therealrtz Reputation Uy Tín Level 10therealrtz Reputation Uy Tín Level 10therealrtz Reputation Uy Tín Level 10therealrtz Reputation Uy Tín Level 10therealrtz Reputation Uy Tín Level 10therealrtz Reputation Uy Tín Level 10therealrtz Reputation Uy Tín Level 10therealrtz Reputation Uy Tín Level 10therealrtz Reputation Uy Tín Level 10therealrtz Reputation Uy Tín Level 10therealrtz Reputation Uy Tín Level 10therealrtz Reputation Uy Tín Level 10therealrtz Reputation Uy Tín Level 10therealrtz Reputation Uy Tín Level 10therealrtz Reputation Uy Tín Level 10therealrtz Reputation Uy Tín Level 10therealrtz Reputation Uy Tín Level 10
Reply

User Tag List


Chiến lược an ninh mới của Trump: Hạ giọng với Trung Quốc, đặt cược tất tay vào kinh tế và lá bài Đài Loan Kho ảnh mới từ dinh thự Jeffrey Epstein: Bóng dáng giới quyền lực và cuộc đấu Trump – Quốc hội Mỹ Cây chổi cho Donald Trump
Nước Mỹ Trump đang kéo châu Âu đi đâu? Nền kinh tế chữ K: 79 ngàn tỷ đô bị “ăn cắp” khỏi túi người lao động Mỹ Khi Trump “đại tu” FEMA và tấn công các cơ quan độc lập
Ukraine đánh thẳng vào “cây ATM năng lượng” của Nga, NATO cảnh báo: chiến tranh đã ở ngay trước cửa Tyler Robinson lần đầu trực tiếp xuất hiện trước tòa: Vụ ám sát Charlie Kirk và câu hỏi về thù hận chính trị ở nước Mỹ Chính quyền Trump chính thức mở trang mạng để bán "thẻ vàng định cư"
Ba người Việt bị ICE bắt ở New Orleans: Từ giấc mơ Mỹ đến nguy cơ bị trục xuất Hai anh em sinh đôi trở về Việt Nam tìm mẹ ruột sau 24 năm và người mẹ Mỹ mang trái tim Bồ Tát Cuối năm phố tắt đèn: Cơn sóng trả mặt bằng và tiếng thở dài của tiểu thương
Tin đồn ông Nguyễn Xuân Phúc xin qua Mỹ định cư: Tấm thẻ đảng và cánh cửa di trú Hoa Kỳ Netflix tung đòn 28 USD/cổ phiếu: Trận quyết đấu cuối cùng của ‘chiến tranh streaming’? Cơn sốc 50.000 USD: Mua xe mới ở Mỹ sắp thành xa xỉ phẩm?
Làn sóng hủy show Nhật Bản ở Trung Quốc: Khi chính trị tắt đèn sân khấu Mãn kinh – chương đời bị bỏ quên của một nửa nhân loại Cuộc họp nội các thật hỗn loạn của ông Trump
Miền Trung chết đuối trong hai chữ “đúng quy trình” Nhật Bản thời Takaichi: Khi Tokyo thôi “hiền lành” và trở thành đối trọng cứng rắn với Bắc Kinh Từ lũ dữ miền Trung đến “Công ước Hà Nội”: Khi khế ước xã hội bị xé bỏ
Phú Yên không còn quan tài: Tiếng khóc giữa đại hồng thủy và những chuyến xe chở tình người Mafia công nghệ 4.0: Từ vụ Alice Guo đến cuộc cạnh tranh quyền lực ngầm ở Đông Nam Á Người đàn ông mang trạm sạc đến nối lại tin tức giữa vùng lũ
“Lũ nhân tạo” ở Việt Nam: Khi dòng sông bị bẻ cong vì thủy điện Đêm 19-11 và tiếng kêu giữa lũ dữ: Khi “đúng quy trình” nhấn chìm niềm tin của dân Lời nói dối “người Mỹ không làm việc này” và cái giá của cả một quốc gia
Đức dựng lại “đạo quân mạnh nhất châu Âu”: Tham vọng của Merz và nỗi lo nghĩa vụ quân sự Thích Trí Quang: Từ “vì đạo pháp và dân tộc” đến 44 năm im lặng Khi Bắc Kinh dọa “chặt đầu” bà đầm thép Sanae Takaichi
Trump hô tội “phản loạn, xử tử hình” 6 dân biểu Dân Chủ: chính trường Mỹ trượt sát lằn ranh bạo lực Ukraine giữa gọng kìm: Kế hoạch hòa bình của Trump và bóng ma drone Rubicon trên bầu trời chiến tranh Kinh tế Mỹ “chạy hết ga, nhưng ghế trống”: Nỗi lo suy thoái không việc làm dưới thời Trump
Hai thẩm phán liên bang chặn lệnh Trump “bóp cổ” ngân sách cứu trợ thiên tai để ép bỏ DEI và hỗ trợ di trú Đêm lũ cuốn trôi Camp Mystic: từ bức vẽ ám ảnh của bé Lulu đến 27 sinh mạng nhỏ bị bỏ rơi Từ cái chết Pamela Genini đến bóng tối đè lên phụ nữ Ý dưới thời Giorgia Meloni

 
Lên đầu Xuống dưới Lên 3000px Xuống 3000px

iPad Videos Portal Autoscroll

VietBF Music Portal Autoscroll

iPad News Portal Autoscroll

VietBF Homepage Autoscroll

VietBF Video Autoscroll Portal

USA News Autoscroll Portall

VietBF WORLD Autoscroll Portal

Home Classic

Super Widescreen

iPad World Portal Autoscroll

iPad USA Portal Autoscroll

Phim Bộ Online

Tin nóng nhất 24h qua

Tin nóng nhất 3 ngày qua

Tin nóng nhất 7 ngày qua

Tin nóng nhất 30 ngày qua

Albums

Total Videos Online
Lên đầu Xuống dưới Lên 3000px Xuống 3000px

Tranh luận sôi nổi nhất 7 ngày qua

Tranh luận sôi nổi nhất 14 ngày qua

Tranh luận sôi nổi nhất 30 ngày qua

10.000 Tin mới nhất

Tin tức Hoa Kỳ

Tin tức Công nghệ
Lên đầu Xuống dưới Lên 3000px Xuống 3000px

Super News

School Cooking Traveling Portal

Enter Portal

Series Shows and Movies Online

Home Classic Master Page

Donation Ủng hộ $3 cho VietBF
Lên đầu Xuống dưới Lên 3000px Xuống 3000px
Diễn Đàn Người Việt Hải Ngoại. Tự do ngôn luận, an toàn và uy tín. Vì một tương lai tươi đẹp cho các thế hệ Việt Nam hãy ghé thăm chúng tôi, hãy tâm sự với chúng tôi mỗi ngày, mỗi giờ và mỗi giây phút có thể. VietBF.Com Xin cám ơn các bạn, chúc tất cả các bạn vui vẻ và gặp nhiều may mắn.
Welcome to Vietnamese American Community, Vietnamese European, Canadian, Australian Forum, Vietnamese Overseas Forum. Freedom of speech, safety and prestige. For a beautiful future for Vietnamese generations, please visit us, talk to us every day, every hour and every moment possible. VietBF.Com Thank you all and good luck.

Lên đầu Xuống dưới Lên 3000px Xuống 3000px

All times are GMT. The time now is 09:32.
VietBF - Vietnamese Best Forum Copyright ©2005 - 2025
User Alert System provided by Advanced User Tagging (Pro) - vBulletin Mods & Addons Copyright © 2025 DragonByte Technologies Ltd.
Log Out Unregistered

Page generated in 0.11166 seconds with 15 queries