HOME-Au
HOME-Au
24h
24h
USA
USA
GOP
GOP
Phim Bộ
Phim Bộ
Videoauto
VIDEO-Au
Donation
Donation
News Book
News Book
News 50
News 50
worldautoscroll
WORLD-Au
Breaking
Breaking
 

Go Back   VietBF > World > Vietnam News | Tin Việt Nam > 2005-2023 Vietnam News


 
Thread Tools
 
 
  #1  
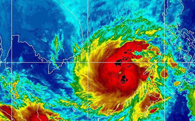
Old  Default Bão số 16 (Tembin) đạt cấp độ thảm họa
Hiện nay Vn và 1 số nước trong khu vực đang chịu sự tấn công mạnh của cơn bão số 16 (Tembin). Được biết cơn bão này mỗi ngày 1 mạnh hơn và kèm theo nhiều diễn biến khó lường. Hiện mọi công tác phòng chống tại 1 số huyện đảo và địa phương đã được chuẩn bị. Bão số 16 (tên quốc tế Tembin) được cảnh báo đạt cấp độ thảm họa, giật cấp 13 khi vào đảo Trường Sa lớn và rủi ro thiên tai cấp 4 (rất lớn). Đây là cơn bão cuối mùa, di chuyển nhanh, phạm vi ảnh hưởng rộng và có thể mạnh hơn bão Linda lịch sử năm 1997.Bão Tembin được các mô hình dự báo thời tiết của Nhật Bản, Mỹ, Hồng Kông nhận định có xu hướng mạnh dần lên, thậm chí đạt cấp độ thảm họa khi tiến vào đất liền. Trước đó sau khi đổ bộ vào biển Đông, bão Tembin đã tiếp tục mạnh lên, giật cấp 12 - cấp 14.

Hiện tại, Trung tâm Dự báo Khí tượng Thủy văn Trung ương cho biết lúc 15h ngày 24/12, tâm bão Tembin ở cách đảo Trường Sa Lớn (thuộc quần đảo Trường Sa) khoảng 130 km về phía Đông. Sức gió mạnh nhất ở vùng gần tâm đạt cấp 12 (115-135 km/h), giật cấp 15.Ở quần đảo Trường Sa đang có mưa bão, ở Huyền Trân và đảo Trường Sa Lớn gió tiếp tục mạnh lên với sức gió mạnh cấp 6-7, giật cấp 10.

Đặc biệt nghiêm trọng khi khả năng sóng biển cao 10 mét có thể ảnh hưởng đến cơ sở hạ tầng trên quần đảo. Cấp độ rủi ro thiên tai do bão ở huyện đảo Trường Sa cấp 4 (rủi ro thiên tai rất lớn).

Dự báo trong vòng 24 đến 36 giờ tiếp theo, bão di chuyển theo hướng Tây, tốc độ di chuyển nhanh (20-25 km/h), đi vào đất liền các tỉnh từ Bà Rịa - Vũng Tàu đến Cà Mau với sức gió mạnh nhất cấp 10, giật cấp 13.

Các tỉnh dự kiến sẽ chịu ảnh hưởng rất lớn từ cơn bão Tembin với tốc độ di chuyển nhanh và phạm vi ảnh hưởng rộng, thậm chí là có thể mạnh hơn siêu bão Linda lịch sử.Để ứng phó với tình hình bão lũ diễn biến phức tạp, ngày 24/12 đoàn công tác của tỉnh Bà Rịa- Vũng Tàu do bà Nguyễn Thị Yến, Phó Bí thư thường trực tỉnh ủy, ông Nguyễn Văn Trình, chủ tịch UBND tỉnh và các sở, ngành đã đi kiểm tra công tác phòng chống bão.

TP. Vũng Tàu sẽ thực hiện lệnh cấm du khách xuống tắm biển từ sáng 25/12, hạn chế đi tập thể dục sáng và tập trung vui chơi đông người. Các cơ sở kinh doanh dịch vụ phao dù, ghế bố, ăn uống sát biển cũng đã được lệnh chuyển đồ đạc lên bờ, chằng chống lại mái…
Dịch trang: EnglishEnglish DeutschDeutsch FrançaisFrançais EspañolEspañol ItalianoItaliano PortuguêsPortuguês
NorskNorsk NederlandsNederlands DanskDansk SuomiSuomi PolskiPolski ČeštinaČeština РусскийРусский
日本語日本語 한국어한국어 中文(简体)中文(简体) 中文(繁體)中文(繁體) MagyarMagyar TürkçeTürkçe
العربيةالعربية ไทยไทย LatinaLatina हिन्दीहिन्दी Bahasa IndonesiaBahasa Indonesia Bahasa MelayuBahasa Melayu
VIETBF Hybrid Community Content Hub

HOT NEWS 24h

HOT 3 Days

NEWS 3 Days

HOT 7 Days

NEWS 7 Days

HOME

Breaking News

VietOversea

World News

Business News

Car News

Computer News

Game News

USA News

Mobile News

Music News

Movies News

History

Thơ Ca

Sport News

Stranger Stories

Comedy Stories

Cooking Chat

Nice Pictures

Fashion

School

Travelling

Funny Videos

Canada Tin Hay

USA Tin Hay

VietBF Homepage Autoscroll

VietBF Video Autoscroll Portal

Video Classic Master

iPad News Portal

VietBF iPad Music Portal

Tin nóng nhất 50h qua

Phim Bộ Online

Phim Bộ



Romano
R11 Tuyệt Thế Thiên Hạ
Release: 12-25-2017
Reputation: 344667


Profile:
Join Date: May 2007
Posts: 140,250
Last Update: None Rating: None
Attached Thumbnails
Click image for larger version

Name:	photo1514123327917-1514123327918.jpg
Views:	0
Size:	157.2 KB
ID:	1152229  
Romano_is_offline
Thanks: 9
Thanked 6,620 Times in 5,565 Posts
Mentioned: 3 Post(s)
Tagged: 0 Thread(s)
Quoted: 38 Post(s)
Rep Power: 176
Romano Reputation Uy Tín Level 10Romano Reputation Uy Tín Level 10Romano Reputation Uy Tín Level 10Romano Reputation Uy Tín Level 10Romano Reputation Uy Tín Level 10Romano Reputation Uy Tín Level 10
Romano Reputation Uy Tín Level 10Romano Reputation Uy Tín Level 10Romano Reputation Uy Tín Level 10Romano Reputation Uy Tín Level 10Romano Reputation Uy Tín Level 10Romano Reputation Uy Tín Level 10Romano Reputation Uy Tín Level 10Romano Reputation Uy Tín Level 10Romano Reputation Uy Tín Level 10Romano Reputation Uy Tín Level 10Romano Reputation Uy Tín Level 10Romano Reputation Uy Tín Level 10Romano Reputation Uy Tín Level 10Romano Reputation Uy Tín Level 10Romano Reputation Uy Tín Level 10Romano Reputation Uy Tín Level 10Romano Reputation Uy Tín Level 10Romano Reputation Uy Tín Level 10
Dịch trang: EnglishEnglish DeutschDeutsch FrançaisFrançais EspañolEspañol ItalianoItaliano PortuguêsPortuguês
NorskNorsk NederlandsNederlands DanskDansk SuomiSuomi PolskiPolski ČeštinaČeština РусскийРусский
日本語日本語 한국어한국어 中文(简体)中文(简体) 中文(繁體)中文(繁體) MagyarMagyar TürkçeTürkçe
العربيةالعربية ไทยไทย LatinaLatina हिन्दीहिन्दी Bahasa IndonesiaBahasa Indonesia Bahasa MelayuBahasa Melayu
 
User Tag List


Sự Thật Sau Làn Sương Tin Giả: Phi Vụ Giải Cứu Phi Công Mỹ Trong Lòng Iran Và Cuộc Chiến Thông Tin Chấn Động Thế Giới Những chuyện hài hước nhất hôm nay +video Mỹ thành công cứu phi công mất tích
Chiến tranh Iran: Khi “bầu trời bất khả xâm phạm” của Mỹ bắt đầu rạn nứt Khủng hoảng dầu mỏ lan thành “cơn bão thiếu hụt”: Khi nhựa, thực phẩm và cả đời sống toàn cầu bị cuốn vào vòng xoáy chiến tranh Tư nhân hóa an ninh sân bay Mỹ: Canh bạc tiết kiệm hay rủi ro an toàn?
Xăng đắt nhất hành tinh: Hong Kong “đốt tiền” vì dầu mỏ, cơn bão năng lượng lan khắp thế giới Iran tung tin bắt sống phi công Mỹ, ngoài F-15 thì còn bắn hạ một trực thăng và một máy bay khác Mỹ xác nhận máy bay bị bắn rơi trên đất Iran: Sự thật dần lộ diện từ mảnh vỡ và chiến dịch giải cứu nghẹt thở
Mục Tát Ba – Tân Giáo chủ Ba Tư giữa khói lửa chiến tranh và những tin đồn chấn động Eo biển Hormuz thành ‘tử lộ’ dầu mỏ: Iran rải thủy lôi, thế giới nín thở chờ cơn địa chấn năng lượng Chiến tranh Ba Tư và bài toán chiến thắng
Iran tung đòn tên lửa nặng nhất, Mỹ – Israel đáp trả, dân Việt Nam đổ xô đi mua xăng Mỹ tiếp tục đánh lớn, Bắc Hàn bênh Iran, Nga hứa giúp đánh bại Trump, dân tình đổ đi mua xăng tích trữ Tân Giáo Chủ Thần Giáo Ba Tư Mojtaba Khamenei: Người kế vị bí ẩn vẫn “mất tích” giữa chiến tranh – Tehran rung chuyển trong mưa bom
Mỹ đốt 2,8 tỷ USD hàng ngày tại Iran Ghét tư bản nhưng gửi con sang tư bản: bài ca muôn thuở của mọi chế độ độc tài, cháu gái Giáo Chủ Iran ở Canada Nhao nhao lên ủng hộ Iran, Việt cộng không biết rằng Thần Quyền Y Lãng đại ghét cộng sản, giết không còn một mống
134 TỶ USD THUẾ QUAN BỊ BÁC BỎ: Ai trả lại tiền cho doanh nghiệp Mỹ? Tô Lâm từng khoe là tranh luận với giáo sư Harvard về kinh tế Dân mạng chê Tô Lâm lạc lõng, ngơ ngáo, dốt tiếng Anh
Vì sao Rubio thông minh nhưng không khôn ngoan Board of Peace của Trump toàn các nhà độc tài, bạo chúa, gian ác nhất thế giới Mũi tên Iran: Trump tiến sát quyết định ‘đánh hay không’, trong khi Nhà Trắng… thiếu lời giải thích
Hội đồng Hòa bình của Trump: Hòa bình kiểu rally, Gaza kiểu ‘dự án’, và chiếc bóng Iran Khi ‘nước Mỹ vĩ đại’ trở thành đề tài biếm họa toàn cầu Chuyến đi Washington của Tổng Bí thư Tô Lâm: Hội đồng Hòa bình Gaza và ‘canh bạc’ thương mại với ông Trump
Những chuyện hài hước nhất hôm nay 4/2/2026 Đô-la chao đảo, vàng lập đỉnh: Trung Quốc tung “ván cờ Nhân dân tệ” Tối hậu thư thuế quan của Trump: Mexico lo “khủng hoảng nhân đạo” nếu Cuba bị bóp nghẹt nhiên liệu
Mẹ của “MC quốc dân” “Today” Savannah Guthrie mất tích bí ẩn: Cảnh sát tin bị bắt cóc, FBI vào cuộc – thời gian đang cạn vì thiếu thuốc Chồng cũ của cựu đệ nhất phu nhân Jill Biden bị truy tố tội giết vợ Biển Hormuz dậy sóng: Mỹ bắn rơi drone Iran, tàu chở hóa chất bị dọa “lên boong” ngay trước giờ đàm phán
Tây Ban Nha cấm người dưới 16 tuổi sử dụng Facebook do cực độc hại Hoàng gia Na Uy giữa ‘bão kép’: con riêng của Thái tử hầu tòa vì cáo buộc hiếp dâm, còn Vương phi bị kéo vào hồ sơ Epstein Trump kêu gọi ‘quốc hữu hóa bầu cử’: từ podcast Dan Bongino đến cuộc đột kích hồ sơ ở Georgia
Những chuyện hài hước nhất hôm nay 24/1/2026 Minnesota “ICE Out”: phố đóng cửa, người xuống đường, Washington đổ thêm quân – và cuộc chiến dữ liệu “ICE Out” bước vào nhà thờ: hồ sơ bắt giữ tại St. Paul và cuộc giằng co quyền lực ở Minnesota
Cậu bé 5 tuổi bị đưa khỏi sân nhà: vụ Liam Conejo Ramos và “cuộc chiến” quanh ICE ở Minnesota Minnesota dưới -20°C: biển người xuống đường, hô vang “ICE Out” Tổng Chủ Tô Lâm tiếp tục cuộc thanh trừng lớn, “Dân là gốc” trong diễn văn, quyền lực về tay ai?
Artemis II bay vòng Mặt Trăng từ 6/2, Bốn phi hành gia lên Orion, mang theo một lỗi đã biết: NASA nói “kiểm soát được”, giới chuyên gia vẫn lạnh gáy Trump lại siết Greenland: Copenhagen nói “không mặc cả chủ quyền”, NATO lộ khung hợp tác Bắc Cực Bão tuyết – băng đá áp sát: 15 tiểu bang ban bố khẩn cấp, gần 2.000 chuyến bay “đứng hình”
Trung Đông căng như dây đàn: Mỹ rút bớt người khỏi căn cứ Qatar, Iran dọa xử tử người biểu tình Hồ sơ “ICE watch” trong trường con trai: Renee Good và những giấy tờ làm bùng nổ tranh cãi Thặng dư 1.200 tỷ USD, Trung Quốc rời thị trường Mỹ, tràn sang ASEAN – Phi – Mỹ Latin
Pâté “cột đèn” nhiễm dịch tả bày bán ở Mỹ Mỹ tranh cãi dữ dội: EPA ngừng định giá lợi ích sức khỏe khi siết bụi mịn và ozone, bị tố “dọn đường cho thêm ô nhiễm” Ăn ít đồ siêu chế biến: hướng dẫn mới của Mỹ gây tranh cãi vì thiếu định nghĩa rõ ràng
“2.300 dặm cho Hòa Bình”: Đoàn tăng sĩ từ Texas gây sốt, tiến dần về Washington Iran “tắt sóng” 5 ngày, con số tử vong vọt lên 2.400+: Nhà Trắng họp khẩn, Trump dọa “phản ứng mạnh” nếu treo cổ Iran chìm trong biển máu: Trump hủy đàm phán, nói “cứ xuống đường – cứu trợ đang tới”
Grok bị tố tạo ảnh khiêu dâm không đồng thuận, thậm chí dính trẻ vị thành niên Trump muốn Mỹ bán dầu Venezuela: Nhưng ai sẽ mua khi Trung Quốc đã “cai nghiện” xăng? Kremlin im lặng sau cú bắt Maduro: Nga lên án rầm rộ, nhưng Putin chưa nói một lời
Minneapolis bùng nổ biểu tình: Đội đặc nhiệm Biên phòng lập hàng rào trước tòa nhà liên bang, trường học đóng cửa Ít nhất 100 đặc công của Cuba+Venezuela chết trong vụ Mỹ bắt sống Maduro Quá khủng khiếp, ICE bắn chết phụ nữ Mỹ da trắng : Dư luận Mỹ dậy sóng sau vụ ICE nổ súng ở Minneapolis
Ác mộng kinh hoàng của Việt Kiều ngồi trên máy bay Việt Cộng trên đường về quê ăn tết Ngân sách quốc phòng 1.5 ngàn tỷ: “Dream Military” của Trump và cú xoay trục dầu Venezuela, chiếm Greenland Greenland nóng hơn băng: EU lên tiếng, Rubio hẹn gặp Đan Mạch, nội bộ Mỹ tranh cãi dữ dội
Cùng là đồ Tàu mang về, nhưng Anh – Mỹ như hai thế giới Vì sao ở Việt Nam trộm cắp – cướp giật như cơm bữa? Câu trả lời nằm ở “đầu ra” Một cuộc dọn nhà ở Tokyo, và thông điệp lạnh gáy gửi ra eo biển Đài Loan
Đổi đô “chợ đen” ở Việt Nam: Từ 9/2/2026 có thể bị phạt nặng và tịch thu Sau “Justice Mission 2025”, Đài Loan tuyên bố quyết tâm tự vệ trước sức ép Bắc Kinh Đêm giao thừa rực lửa ở Amsterdam: nhà thờ Vondelkerk thế kỷ 19 bị thiêu rụi
Hơn 3.000 người chờ trong rét: “Về đây bốn cánh chim trời” và cú rơi từ sân khấu xuống… hồ sơ hình sự Một chiếc ghế, một vụ BMW và câu hỏi về công lý Băng trộm “hải sản” tung hoành New England: 40.000 con hàu biến mất, tôm hùm 400.000 đô bị cuỗm trong phi vụ giả mạo xe tải
Thắng Pháp, thắng Mỹ, thắng Tàu... trừ cái hộ chiếu: Việt Nam đứng sau Campuchia, cười ra nước mắt! Vì sao Campuchia cô độc khi khủng hoảng nổ ra: “Bạn bè” không tự nhiên mà có Làn sóng “America First” quét qua Bộ Ngoại Giao: Đại sứ Marc Knapper rời Việt Nam từ tháng Giêng
Vợ của nhạc sĩ, đại tá VNCH Nguyễn Văn Đông qua đời Việt kiều Mỹ mất nhà 100 tỷ 10A Cửu Long tại Sài Gòn vì nhờ bạn đứng tên Tô Lâm đưa 20.000 cảnh sát cơ động khống chế Hà Nội, vô hiệu hoá chủ tịch nước Lương Cường và thủ tướng Phạm Minh Chính
Sân bay Long Thành của Việt Nam hoá ra là 'hàng Trung Quốc' Vụ “UPS giả” vào nhà giết cả gia đình: tin cũ gần 2 năm vẫn hâm nóng cộng đồng người Việt Qua được Mỹ rồi, xin đừng “qua cầu rút ván”
Xả súng kinh hoàng tại Mỹ: Thảm Kịch Tại Brown University - Cơn Ác Mộng Giáng Sinh Và Nỗi Đau Chưa Từng Có Của Một Trường Ivy League Melissa Trần – Tâm thư từ Việt Nam của cô chủ tiệm nail bị trục xuất Úc: Khủng bố xả súng bắn vào cư dân Israel tại bải biển, giết chết 11 người và hàng chục người khác bị thương
Bác sĩ Mũ Đỏ Phạm Gia Cổn: Từ chiến trường Tam Biên đến Khí Công Hoàng Hạc Xả súng ở bãi biển Úc, ít nhất 11 người chết Người Việt tại Đức xuống đường tố cáo bàn tay đàn áp xuyên quốc gia của CSVN
Giữa Tô Lâm và Phan Văn Giang: Cuộc cờ quyền lực, lợi ích nhóm và thân phận 100 triệu dân Target “chơi lớn” ở SoHo: Cửa hàng kiểu mẫu để giành lại hào quang “Tar-zhay” Mỹ bất ngờ thu hẹp thâm hụt thương mại: vàng, thuế quan và những mặt trái sau các con số đẹp
Bài học Nokia giữa mùa đông Phần Lan: Thua từ bên trong trước khi thua thị trường Liuzhi – Bóng tối mới phủ xuống giới doanh nhân Trung Quốc 5 tiểu bang vàng cho nghề nail – hair – spa của người Việt tại Mỹ
Phố Tây Bùi Viện náo nhiệt và bóng dáng nhà canh tân cuối thế kỷ XIX Từ mafia thuốc lá đến tú bà Chemnitz: Vết nhơ kéo dài của một bộ phận người Việt Đông Đức Khi xe Trung Quốc viết lại trật tự ngành ô tô thế giới
Dự luật ‘một quốc tịch Mỹ’: ồn ào trên mặt báo, nhưng rất khó thành hiện thực Netflix nuốt chửng Warner Bros: Địa chấn 72 tỷ đô làm rung chuyển Hollywood Apple rung chuyển: Lãnh đạo lần lượt ra đi, Tim Cook trước cơn bão AI

 
Lên đầu Xuống dưới Lên 3000px Xuống 3000px

iPad Videos Portal Autoscroll

VietBF Music Portal Autoscroll

iPad News Portal Autoscroll

VietBF Homepage Autoscroll

VietBF Video Autoscroll Portal

USA News Autoscroll Portall

VietBF WORLD Autoscroll Portal

Home Classic

Super Widescreen

iPad World Portal Autoscroll

iPad USA Portal Autoscroll

Phim Bộ Online

Tin nóng nhất 24h qua

Tin nóng nhất 3 ngày qua

Tin nóng nhất 7 ngày qua

Tin nóng nhất 30 ngày qua

Albums

Total Videos Online
Lên đầu Xuống dưới Lên 3000px Xuống 3000px

Tranh luận sôi nổi nhất 7 ngày qua

Tranh luận sôi nổi nhất 14 ngày qua

Tranh luận sôi nổi nhất 30 ngày qua

10.000 Tin mới nhất

Tin tức Hoa Kỳ

Tin tức Công nghệ
Lên đầu Xuống dưới Lên 3000px Xuống 3000px

Super News

School Cooking Traveling Portal

Enter Portal

Series Shows and Movies Online

Home Classic Master Page

Donation Ủng hộ $3 cho VietBF
Lên đầu Xuống dưới Lên 3000px Xuống 3000px
Diễn Đàn Người Việt Hải Ngoại. Tự do ngôn luận, an toàn và uy tín. Vì một tương lai tươi đẹp cho các thế hệ Việt Nam hãy ghé thăm chúng tôi, hãy tâm sự với chúng tôi mỗi ngày, mỗi giờ và mỗi giây phút có thể. VietBF.Com Xin cám ơn các bạn, chúc tất cả các bạn vui vẻ và gặp nhiều may mắn.
Welcome to Vietnamese American Community, Vietnamese European, Canadian, Australian Forum, Vietnamese Overseas Forum. Freedom of speech, safety and prestige. For a beautiful future for Vietnamese generations, please visit us, talk to us every day, every hour and every moment possible. VietBF.Com Thank you all and good luck.

Lên đầu Xuống dưới Lên 3000px Xuống 3000px

All times are GMT. The time now is 19:47.
VietBF - Vietnamese Best Forum Copyright ©2005 - 2026
User Alert System provided by Advanced User Tagging (Pro) - vBulletin Mods & Addons Copyright © 2026 DragonByte Technologies Ltd.
Log Out Unregistered

Page generated in 0.11534 seconds with 15 queries